

Savoir - faire éprouvé
Entreprise spécialisée


ROBERT POTTEAU
Anti nuisibles pour les professionnels depuis 2015

Débarrassez vous une bonne fois des blattes et cafards dans Les Alpes maritimes et Var
Désinsectisation HACCP contre les blattes à Cannes, Antibes, Grasse, Mandelieu, Vallauris, Fréjus, Draguignan
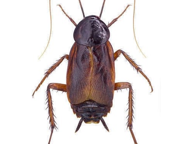
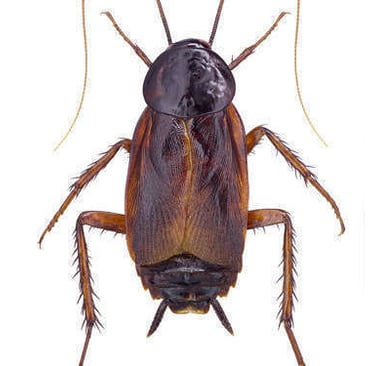
Tout savoir sur les blattes et cafards
Les blattes, aussi appelées cafards et France, sont des insectes très anciens qui peuplent la terre depuis environ 350 millions d'années. Bien qu'il en existe des milliers d'espèces, seule quatre ou cinq sont considérées comme nuisibles et raison de leurs habitudes de vie. Ces insectes privilégient les environnements chauds, et humides, discrets pour établir leurs nids. Très résistantes, elles s'adaptent facilement et peuvent survivre à des conditions extrêmes.
Insectes nocturnes par nature, les blattes fuient la lumière. Le jour, elles se réfugient dans les fissures, interstices et recoins difficiles d'accès, puis sortent à la tombée de la nuit à la recherche de nourriture. Leur présence peut engendrer de fortes nuisances: mauvaises odeurs, traces désagréables, contamination des aliments et des ustensiles. Comme de nombreux insectes rampants, elles sont porteuses de moisissures, de bactéries, de virus et de parasites intestinaux susceptibles de provoquer des maladies graves si rien n'est fait.
Pour éviter toute situation d'insalubrité et préserver la confiance de vos clients, ROBERT POTTEAU met toute son expertise à votre service. Urgence Réouverture & Remise aux Normes








Nos prestations de Désinsectisation cafards et blattes
ROBERT POTTEAU vous propose la solution efficace contre les blattes
Nos atouts
Diagnostic selon votre activité
Traitement ciblé et proportionné
Action curative et préventive
Résultats immédiats et garantis
Réglementation et conformité
Sécurité et environnement
Assurance
Responsabilité professionnelle
Responsabilité civile
Contactez Nous
Vous souhaitez une devis ?
Remplissez le formulaire ou contactez-nous
06 24 58 50 00
Notre zone d'intervention
ROBERT POTTEAU se déplace à Nice et dans toute les Alpes Maritimes et aussi à Montpellier et les villes de l'Hérault
Nice
Cannes
Antibes
Grasse
Menton
St Laurent du Var
Carros
Mandelieu
Et bien d'autre villes du 06
Montpellier
Agde
Séte
Marseillan
Béziers


Nos clients
Restaurant, Traiteur, Boulangerie
Brasserie, Épicerie, Supermarché
Usine agro-alimentaire
Hôtel, Résidence de touristique
Syndic de copropriété, Entrepot
© 2025. Robert Potteau
Siège social
970 avenue de la République 06550 La Roquette Sur Siagne
06 24 58 50 00
Nos Partenaires